Atrakcyjna działka Rokitno Szlacheckie
Działka budowlana na sprzedaż, Rokitno Szlacheckie
182 000 PLN
130 PLN/m2
|
Tomasz Jurczyk
nr licencji: 6414 |
| 501-284-646 |
| 509-307-195 |
| interdomdg@op.pl |
CHCESZ DOWIEDZIEĆ SIĘ WIĘCEJ?
Oferta wyświetlona 317 razy
Opis
WYKONUJEMY ŚWIADECTWA CHARAKTERYSTYKI ENERGETYCZNEJ BUDYNKÓW I LOKALI.
ATRAKCYJNE DZIAŁKI W ROKITNIE SZLACHECKIM
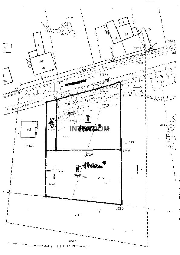
Oferujemy do sprzedaży dwie działki pod zabudowę mieszkaniową o powierzchni 1400 m.kw. każda, bardzo ładnie położone, widokowe.
Sąsiedztwo - domy mieszkalne, nowe.
Działki mają kształt zbliżony do prostokąta. Prąd, woda i gaz w ulicy. Brak kanalizacji. Szerokość od ulicy ok. 42 metry oraz ok. 35 metrów (druga działka).
Cena: 182.000 zł za działkę.
Spokojna lokalizacja - Rokitno Szlacheckie, ul. Szlachecka, w pobliżu tereny zielone i rekreacyjne, cisza i spokój. Sąsiedztwo domów jednorodzinnych.
Osoba do kontaktu - Małgorzata (tel. 501 284 646).
Prezentacja ww. nieruchomości oraz udostępnienie danych adresowych odbywa się po podpisaniu umowy pośrednictwa, zgodnie z art 180 pkt 3 Ustawy o Gospodarce Nieruchomościami.
ZAPRASZAMY DO OGLĄDANIA. Więcej ofert na naszej stronie: interdomdg.pl
Osoba odpowiedzialna zawodowo za ofertę: Małgorzata Jurczyk, numer licencji 2060. Przedstawiona propozycja nie jest ofertą handlową w rozumieniu prawa, lecz ma charakter informacyjny. Opis oferty zawarty na stronie internetowej sporządzony jest na podstawie oględzin nieruchomości oraz informacji uzyskanych od właściciela, może podlegać aktualizacji i nie stanowi oferty określonej w art. 66 i następnych K.C.
Jeśli żadna z przedstawionych ofert nie zainteresowała państwa prosimy o przesłanie informacji dotyczącej poszukiwanej przez państwa nieruchomości. POMAGAMY KLIENTOM W UZYSKANIU KREDYTU HIPOTECZNEGO NA ZAKUP NIERUCHOMOŚCI. Wykonujemy świadectwa charakterystyki energetycznej budynków i lokali mieszkalnych. Posiadamy uprawnienia w tym zakresie.
Oferta nr 280870392 wysłana z systemu LocumNet Online
ATRAKCYJNE DZIAŁKI W ROKITNIE SZLACHECKIM
Oferujemy do sprzedaży dwie działki pod zabudowę mieszkaniową o powierzchni 1400 m.kw. każda, bardzo ładnie położone, widokowe.
Sąsiedztwo - domy mieszkalne, nowe.
Działki mają kształt zbliżony do prostokąta. Prąd, woda i gaz w ulicy. Brak kanalizacji. Szerokość od ulicy ok. 42 metry oraz ok. 35 metrów (druga działka).
Cena: 182.000 zł za działkę.
Spokojna lokalizacja - Rokitno Szlacheckie, ul. Szlachecka, w pobliżu tereny zielone i rekreacyjne, cisza i spokój. Sąsiedztwo domów jednorodzinnych.
Osoba do kontaktu - Małgorzata (tel. 501 284 646).
Prezentacja ww. nieruchomości oraz udostępnienie danych adresowych odbywa się po podpisaniu umowy pośrednictwa, zgodnie z art 180 pkt 3 Ustawy o Gospodarce Nieruchomościami.
ZAPRASZAMY DO OGLĄDANIA. Więcej ofert na naszej stronie: interdomdg.pl
Osoba odpowiedzialna zawodowo za ofertę: Małgorzata Jurczyk, numer licencji 2060. Przedstawiona propozycja nie jest ofertą handlową w rozumieniu prawa, lecz ma charakter informacyjny. Opis oferty zawarty na stronie internetowej sporządzony jest na podstawie oględzin nieruchomości oraz informacji uzyskanych od właściciela, może podlegać aktualizacji i nie stanowi oferty określonej w art. 66 i następnych K.C.
Jeśli żadna z przedstawionych ofert nie zainteresowała państwa prosimy o przesłanie informacji dotyczącej poszukiwanej przez państwa nieruchomości. POMAGAMY KLIENTOM W UZYSKANIU KREDYTU HIPOTECZNEGO NA ZAKUP NIERUCHOMOŚCI. Wykonujemy świadectwa charakterystyki energetycznej budynków i lokali mieszkalnych. Posiadamy uprawnienia w tym zakresie.
Oferta nr 280870392 wysłana z systemu LocumNet Online
Szczegóły
| Numer oferty | 280870392 |
| Typ oferty | Działka budowlana |
| Rodzaj transakcji | Sprzedaż |
| Cena | 182 000 PLN |
| Cena za m2 | 130 PLN |
| Powierzchnia | 1 400 m2 |
| Miejscowość | Rokitno Szlacheckie |
| Ulica/Osiedle | Szlachecka |
| Województwo | ŚLĄSKIE |
| Powiat | zawierciański |
| Gmina | Łazy |
| Kształt działki | kwadrat |
F.H. MAWI-NIERUCHOMOŚCI INTERDOM Jurczyk Małgorzata
Odwiedź nasze biuro i opowiedz nam o Twoich oczekiwaniach!Adres naszego biura
3-go Maja 4, 41-300 Dąbrowa GórniczaZadzwoń do nas
Znajdziemy dla Ciebie interesującą ofertę, która będzie dostosowana do Twoich wymagań.CHCESZ DOWIEDZIEĆ SIĘ WIĘCEJ O TEJ OFERCIE?
